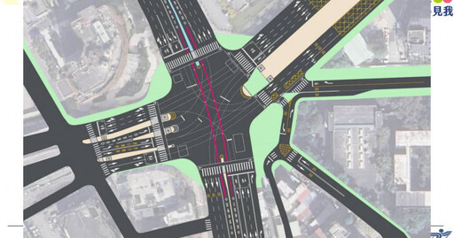
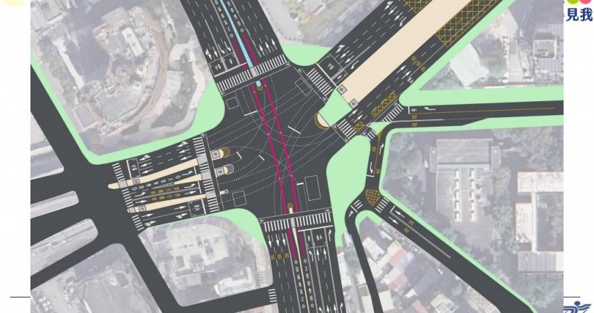
公館圓環進度提前完成 北市府:9/29上午6時啟用正交路口

[周刊王CTWANT] 台北市公館圓環拆除及地下道填平工程,13日動工,原先規畫工期65天,預計11月完工。不過北市府今(25)日表示,因許多作業改為重疊並行,加上施工期未受天候影響,作業時間大幅縮短,四岔正交路口,將提前在29日上午6時完工啟用,讓用路人適應新的路型。交通局長謝銘鴻表示,完成後的「正交路型」就會開始實施,呼籲用路人按照標線及牌面行駛。
謝銘鴻表示,在市府團隊與廠商協力趕工下,羅斯福路與基隆路口將於29日上午6時,完工啟用,後續將持續與新北溝通、觀察車流,並依照實際狀況微調,讓車流更順暢、交通更安全。
工務局長黃一平表示,公館圓環工程將於29日完工,能夠提前完工有賴各相關局處的配合,原本要單獨進行的工程能夠同時施作,且天候因素影響比較小,各局處與營造廠商每天都在沙盤堆演施工過程,才能夠有提前完工的成果。
新工處工務科長高銘伸表示,截至目前為止總施工進度為80%,灌漿與填平作業都已經完成,即日起晚間23時到上午6時,會陸續完成路面銑鋪及畫設標線的工程。高銘伸也呼籲夜間用路人,晚間經過工程地段時,必須要按照牌面及義交人員的指揮與安排。
北市府指出,自9月29日上午6時起,羅斯福路與基隆路口將正式成為正交路口,請用路人依照一般正交路口動線行駛。於機車動線部分,本路口除基隆路福和橋下橋機車左轉羅斯福路時仍需兩段式左轉外,其餘各方向皆開放機車直接左轉,並設有機車待轉格,供有需要之民眾選擇兩段式左轉。福和橋汽車進城下橋處因受道路幾何及墩柱影響,建議駕駛人提前於橋上分流,往信義區及文山區方向靠外側行駛,欲左轉往大安區(公館)及中正區者靠內側行駛。
另東南角巷道亦同步進行交通動線調整,羅斯福路4段123巷21弄同日起試辦東往西單行道,請欲前往信義區用路人可由羅斯福路主線至基隆路口右轉前往。
延伸閱讀
- 記者:周刊王CTWANT
- 更多生活新聞 »
